Csónakkikötők Almádiban (II. rész)

A Helyismeret wikiből
Írta: Schildmayer Ferenc


Térképrészlet az 1923-1927 közötti felvételből

Az első védett csónakkikötő a Remete patak kibővített részéhez csatlakozott és a Sóhajok hídja alatt volt megközelíthető a víz felől. Az 1923. évi, 1927-ben reambulált kataszteri térképen látható kikötő-öböl kialakításának pontos ideje nem ismert. Nagy valószínűséggel az 1920-as évek első felében készülhetett, az 1928-ban kiadott Balatonalmádi térképen már nevezetes helyként szerepel „Csónakház” néven. Ez az elnevezés építményre utal, ami látható egy képes levelezőlapon is. A BYC (Balatoni Yacht Club) székház 1925-ben történt felavatásával még egy csónakkikötő létesült Almádiban.

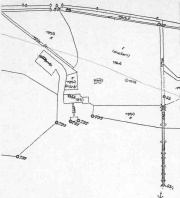
Térképrészlet az 1928-ban kiadott Balatonalmádi térképről

1922-ben megnyílt a „Fövenyfürdő” (Wesselényi strand elődje), ahol a strand északi részén szintén létesült csónakkikötő, elsősorban bérelhető csónakok számára. A csónakok bérbeadása elég jól jövedelmezett a tulajdonos Balatonalmádi Fürdő és Építő Rt.-nek. Például 1924-ben a csónakázás jövedelme 14,146.915 korona volt az éves elszámolás szerint. Ez a teljes jövedelemnek kb. 7%-át jelentette, ami a fövenyfürdőre és a régi fürdőház mellett levő csónakkikötőkre vonatkozott.

Két megjegyzést kell a csónakkikötőkkel, illetve a csónakázással kapcsolatban tenni. Az egyik, hogy Almádiban élénk sportélet folyt már az 1900 körüli években, de evezős verseny úgyszólván nem fordult elő. A másik pedig az, hogy a balatoni halászati jogot a földesúr, a Veszprémi Káptalan bérbe adta különböző, elsősorban vörösberényi bérlőknek. Az ő ladikjaik száma és kikötőhelye nem ismert és nem is számíthatók a szórakozást jelentő csónakázás körébe.

Ezzel a rövid áttekintéssel megismerhetjük Almádi történetének kis, ám nem jelentéktelen részét.

Kapcsolódó cikkek

Forrás

Új Almádi Újság[1] 2007 (19. évf.) 2. sz. 2. p.

Külső hivatkozás

  1. Új Almádi Újság honlapja