Fájl:1923 1927 terkep csonakkikoto.jpg
A Helyismeret wikiből
Az előnézet mérete: 546 × 599 képpont További felbontás: 437 × 480 képpont.
Eredeti fájl (768 × 843 képpont, fájlméret: 31 KB, MIME-típus: image/jpeg)
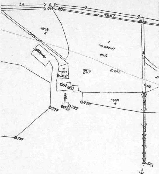
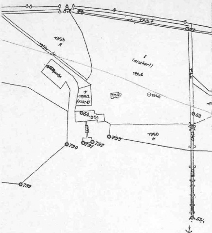
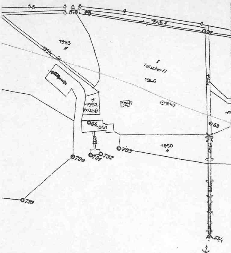
Térképrészlet az 1923-1927 közötti felvételből.
Fájltörténet
Kattints egy időpontra, hogy a fájl akkori állapotát láthasd.
| Dátum/idő | Bélyegkép | Felbontás | Feltöltő | Megjegyzés | |
|---|---|---|---|---|---|
| aktuális | 2016. augusztus 12., 13:01 | 768 × 843 (31 KB) | Fdanko (vitalap | szerkesztései) |
- Ezt a fájlt nem lehet felülírni.
Fájlhasználat
Az alábbi lap hivatkozik erre a fájlra: